Santa Surfing Ohana
Spirituality/Belief • News • Business
We offer Ad Free Videos exclusive for our Ohana and exclusive content and fun online activities.
Interested? Want to learn more about the community?
13 hours ago
LMAO 🤣🤣🤣
post photo preview
Interested? Want to learn more about the community?
What else you may like…
Videos
Posts
Articles
October 24, 2025
Tricking is more fun than being Tricked 🤣
00:00:09
October 21, 2025
Instant Karma
00:00:44
“They’re not raising kids — they’re programming little soldiers to hate and attack us. This isn’t politics anymore, it’s conditioning future violence.”
00:01:01
Good Morning Folks

🤠☕

post photo preview
Todays funny
post photo preview
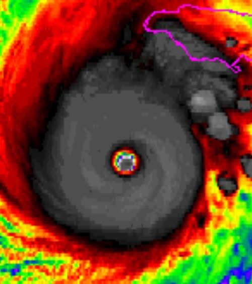
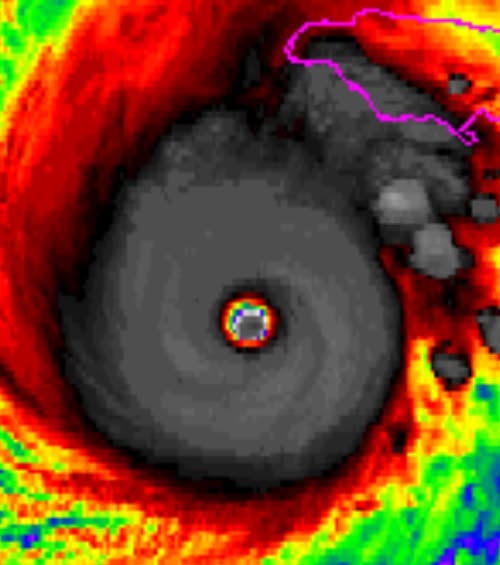
241 MPH WIND GUST!

One of the strongest wind gusts EVER measured in a hurricane was just recorded by hurricane hunters who continue to fly through Melissa last night. This insane wind gust was measured about 700 feet above the ocean's surface. This thing is absolutely terrifying.

post photo preview
post photo preview
Help Using Locals.com

 

How to Use Locals Frequently Asked Questions and Help Topics:

https://support.locals.com/en/article/how-do-i-upload-videos-podcasts-photos-r49es4/

If you need more help contact LOCALS Support at:

[email protected]

Read full Article
Ohana Supporter Zello
Emergency Back Up Communication

Information for Ohana Supporter ONLY

Zello Channel

Only for Supporters
To read the rest of this article and access other paid content, you must be a supporter
Read full Article
Contest
LINK to Current or Future Contests

This Article will be updated with our current Giveaway Link (when applicable). 🤙

 

Only for Supporters
To read the rest of this article and access other paid content, you must be a supporter
Read full Article
See More
Available on mobile and TV devices
google store google store app store app store
google store google store app tv store app tv store amazon store amazon store roku store roku store
Powered by Locals